
GERECHTSHOF ARNHEM-LEEUWARDEN
locatie Leeuwarden, afdeling civiel
zaaknummer gerechtshof 200.302.828/01
zaaknummer rechtbank 254225
arrest van 25 april 2023
in de zaak van
die woont in [woonplaats1] ,
2. [appellante]
die woont in [woonplaats1] ,
die hoger beroep hebben ingesteld,
en bij de rechtbank optraden als gedaagden,
hierna gezamenlijk te noemen: [appellanten],
advocaat: mr. G.E.J. Kornet, die kantoor houdt in Zwolle,
tegen
[geïntimeerde] ,
die woont in [woonplaats1] ,
die ook hoger beroep heeft ingesteld,
en bij de rechtbank optrad als eiser,
hierna: [geïntimeerde],
advocaat: mr. A.T. Slofstra, die kantoor houdt in Tilburg.
1.1.Naar aanleiding van het arrest van 6 september 2022 heeft op 12 januari 2023 een gerechtelijke plaatsopneming en aansluitende mondelinge behandeling ter plaatse plaatsgevonden. Daarvan is een verslag gemaakt dat aan het dossier is toegevoegd (het proces-verbaal). Hierna hebben partijen het hof gevraagd opnieuw arrest te wijzen.
2.1.
[appellanten] en [geïntimeerde] zijn buren van elkaar en hebben een geschil over het verloop van de erfgrens tussen hun percelen. De vraag is of de grens die het Kadaster tijdens een grensreconstructie heeft vastgelegd, de juiste is.
2.2.Het geschil kent de volgende feitelijke achtergrond.
2.3.
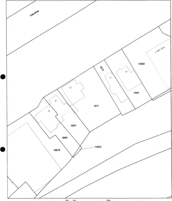
[geïntimeerde] is eigenaar van het perceel aan de [adres1] 11 in [woonplaats1] (kadastrale aanduiding 11964; dit perceel is volgens het Kadaster ontstaan uit het perceel met het nummer 9675) en [appellanten] zijn eigenaar van het perceel aan de [adres1] 12 in [woonplaats1] (kadastrale aanduiding 1971). De kadastrale situatie is als volgt:
Legenda:
perceelnummer 1971 in eigendom bij [appellanten]
perceelnummer 9675 in eigendom bij [geïntimeerde] nu volgens het Kadaster 11964
2.4.In een brief van 3 juni 2017 heeft [geïntimeerde] aan [appellanten] geschreven:
“Zoals ik onlangs heb aangegeven hebben wij interesse in een kleine verbreding van onze tuin aan de zijkant welke grenst aan jullie perceel. Idealiter is voor ons een verbreding van 2 meter over de volledige lengte t/m onze schuur. De lengte van ons perceel is circa 33 meter. Dit betekend in de praktijk circa 66 m2.
Een alternatief zou 1,5 meter breed kunnen zijn, wederom over de volledige lengte van ons perceel.
Om het concreter te maken wil ik jullie hierbij het volgende voorstel doen.
Grondprijs, marktconform tuingrond ad €90/m2
66 m2 x € 90 = € 5.940 (2 meter breed, 33 meter lang)
50 m2 x € 90 = € 4500 (1,5 meter breed, 22 meter lang)”
2.5.In juni 2017 hebben [appellanten] een groene afscheiding tussen de percelen van partijen verwijderd. [geïntimeerde] heeft daarop een schutting geplaatst op de plek waar zich voorheen de groene afscheiding bevond. Deze schutting is geplaatst tegen een aantal bestaande groene paaltjes.
2.6.Op 30 augustus 2019 hebben [appellanten] een toegangshek geplaatst. [geïntimeerde] heeft hierop kenbaar gemaakt dat hij van mening was dat het toegangshek deels op zijn perceel stond.
2.7.Vervolgens hebben [appellanten] een grensreconstructie aangevraagd bij het Kadaster. Op 10 oktober 2019 heeft deze grensreconstructie plaatsgevonden. Daarbij waren partijen aanwezig.
2.8.
[appellanten] zijn naar aanleiding van de uitkomst van de grensreconstructie een klachtenprocedure bij het Kadaster begonnen en hebben het Kadaster verzocht de erfgrensreconstructie nogmaals uit te voeren. De tweede grensreconstructie heeft plaatsgevonden op 8 november 2019. Hierbij waren alleen [appellanten] aanwezig. Deze grensreconstructie heeft niet geleid tot een wijziging in de erfgrens.
2.9.In een brief van 31 oktober 2019 heeft het Kadaster aan [geïntimeerde] onder meer het volgende geschreven:
“Thans is gebleken da bij het bijwerken van de Basisregistratie Kadaster (BRK) destijds een fout is gemaakt. Op grond van artikel 7 s van de Kadasterwet is deze fout hersteld. Deze onjuiste registratie is geconstateerd naar aanleiding van een grensreconstructie uitgevoerd op 10 oktober 2019.
Door belanghebbenden is er een eensluidende aanwijs geweest van het verloop van de kadastrale zuidwestgrens van uw vermelde perceel. Deze aanwijs is gedocumenteerd op het relaas van bevindingen kadastrale gemeente Zwolle Dienstjaar 1878. Na een vastlegging worden de kadastrale grenzen verwerkt op de kadastrale kaart. Vervolgens wordt vanuit deze grenzen op de kadastrale kaart de kadastrale grootte berekend. Uit onderzoek is gebleken dat de kadastrale grenzen en de kadastrale grootte van uw perceel onjuist waren weergegeven op de kadastrale kaart en in de BRK. Ik bied hiervoor mijn excuses aan. Wij hebben de kadastrale kaart hersteld overeenkomstig de bestaande gegevens op voormeld relaas van bevindingen. Op de ingesloten hulpkaart ziet u de wijziging
aangegeven met de blauw gestippelde lijn (vervallen lijn) en de rode lijn. Deze laatste geeft de juiste ligging van de kadastrale grens weer. De huidige kadastrale grootte van uw perceel is thans in de BRK gesteld op 310 m2. Door deze wijziging is uw perceel tevens vernummerd.
Ik wijs u erop dat de ligging van de kadastrale grens in het terrein ongewijzigd is gebleven. Het herstel heeft namelijk alleen betrekking op de weergave van de kadastrale grens in de Basisregistratie Kadaster. De kadastrale grens heeft altijd gelegen zoals deze door belanghebbenden is aangewezen volgens het voormelde relaas van bevindingen. Hetzelfde geldt voor de kadastrale grootte, ook deze is alleen administratief aangepast, maar niet feitelijk gewijzigd (…)”.
2.10.In een brief van 13 november 2019 heeft [geïntimeerde] aan [appellanten] onder meer geschreven:
“Van het kadaster heb ik inmiddels schriftelijk bericht ontvangen over de grensreconstructie. De kadastrale grens is ongewijzigd gebleven en is conform de eensluidende aanwijs geweest van de landmeter. Deze aanwijs is gedocumenteerd op het relaas van bevindingen welke u reeds in uw bezit heeft. De weergave van de kadastrale kaart werd voorheen onjuist weergegeven. Dit is hersteld door het kadaster op basis van artikel 7s van de Kadasterwet.
De huidige situatie maakt inbreuk op mijn eigendomsrecht. Ik verzoek u dan ook vriendelijk zo snel mogelijk, doch uiterlijk 4 weken na dagtekening van deze brief, hier een einde aan te maken door de bouwwerken af te breken / verplaatsen. (…)”
2.11.In brieven van 30 december 2019 en 9 januari 2020 heeft de gemachtigde van [geïntimeerde] [appellanten] aangeschreven en verzocht het Heras hekwerk, de aanwezige zeecontainer en de bestrating van het perceel van [geïntimeerde] te verwijderen.
2.12.In e-mails van 3 en 13 januari 2020 hebben [appellanten] op deze brieven gereageerd.
2.13.Op 20 februari 2020 heeft op verzoek van [geïntimeerde] wederom een grensreconstructie plaatsgevonden. Daarbij waren partijen aanwezig. Uit het relaas van bevindingen volgt dat de erfgrens ongewijzigd is gebleven.
2.14.Naar aanleiding van de uitkomst van deze laatste grensreconstructie zijn [appellanten] wederom een klachtenprocedure begonnen. Dit heeft niet geleid tot een wijziging van de erfgrens.
2.15. [geïntimeerde] heeft bij de rechtbank gevorderd dat voor recht wordt verklaard dat de erfgrens tussen de percelen is zoals vermeld in de erfgrensreconstructie van 20 februari 2020. Verder vorderde [geïntimeerde] dat [appellanten] worden veroordeeld de afsluitpaal van het Heras hekwerk, de zeecontainer, de bestrating en het houtafval, voor zover een en ander zich bevindt op het perceel van [geïntimeerde] , te verwijderen en verwijderd te houden, op straffe van een dwangsom. Tot slot vorderde [geïntimeerde] [appellanten] te veroordelen aan hem € 485,- en de proceskosten te betalen.
2.16.De rechtbank heeft deze vorderingen, behalve ten aanzien van de gevorderde dwangsom, toegewezen. De bedoeling van het hoger beroep van [appellanten] is dat de aan [geïntimeerde] toegewezen vorderingen alsnog worden afgewezen. [geïntimeerde] heeft van zijn kant ook hoger beroep ingesteld. Hij wil dat [appellanten] worden veroordeeld tot het verlenen van hun medewerking aan het opnieuw inmeten van de kadasterpaal door het Kadaster op kosten van beide partijen gezamenlijk, op straffe van een dwangsom. Verder vordert [geïntimeerde] dat [appellanten] worden veroordeeld medewerking te verlenen aan het herstellen van het meetpunt van het Kadaster achter in de tuin op straffe van een dwangsom en tot betaling van de helft van de totale kosten van de meting van het Kadaster met betrekking tot het herplaatsen van de kadasterpaal op de juiste plaats. Tot slot wil [geïntimeerde] dat aan de veroordeling in het vonnis van de rechtbank alsnog een dwangsom wordt verbonden.
De vermeerdering van eis
3.1.
[geïntimeerde] heeft in hoger beroep zijn eis vermeerderd door, kort gezegd, te vorderen dat [appellanten] worden veroordeeld medewerking te verlenen aan het opnieuw inmeten van de kadasterpaal door het Kadaster en, op straffe van een dwangsom, medewerking te verlenen aan het herstellen van het meetpunt van het Kadaster achter in de tuin en tot betaling van de helft van de totale kosten van de meting van het Kadaster met betrekking tot het herplaatsen van de kadasterpaal op de juiste plaats.
[appellanten] hebben tegen deze vermeerdering van eis geen bezwaar gemaakt. Het hof ziet ook ambtshalve geen aanleiding de eisvermeerdering buiten beschouwing te laten wegens strijd met de goede procesorde, zodat op de vermeerderde eis zal worden beslist.
Inleiding
3.3.Partijen hebben een geschil over het verloop van de erfgrens tussen hun percelen. [appellanten] zijn er vanuit gegaan dat de oppervlakte van hun perceel 670 m2 bedroeg, en dat de erfgrens op de lijn liep van de groene paaltjes, waar [geïntimeerde] in 2017 een schutting tegenaan heeft geplaatst (zie rov. 2.5). De erfgrensreconstructie die het Kadaster heeft uitgevoerd is volgens [appellanten] dan ook niet juist. [geïntimeerde] meent daarentegen dat de erfgrens wel correct door het Kadaster is weergegeven.
Het hof zal de bezwaren tegen het vonnis van de rechtbank hierna bespreken. Het hof merkt daarbij op dat [appellanten] geen bezwaar hebben gemaakt tegen het oordeel van de rechtbank dat geen sprake is van verkrijging door verjaring in de zin van artikel 3:99 of 3:105 BW, zodat het geschil in hoger beroep alleen nog draait om de locatie van de erfgrens en de door [geïntimeerde] ingestelde vorderingen. De beslissing van het hof zal zijn dat het vonnis van de rechtbank in stand blijft en dat de aanvullende vorderingen van [geïntimeerde] worden afgewezen.
De locatie van de erfgrens
3.5.Het Kadaster heeft op 10 oktober 2019 en op 20 februari 2020 een erfgrensreconstructie uitgevoerd en de erfgrens tussen de percelen van partijen vastgesteld op de wijze zoals uit het relaas van bevindingen van beide erfgrensreconstructies volgt. Naar aanleiding van de eerste erfgrensreconstructie heeft het Kadaster geconcludeerd dat er een administratieve fout was gemaakt bij het bijwerken van de Basisregistratie Kadaster (BKR). De kadastrale grens tussen de percelen was onjuist vastgesteld in het BKR, waardoor ook de kadastrale grootte van de percelen onjuist was opgenomen. Het Kadaster heeft [geïntimeerde] in een brief van 31 oktober 2019 gemeld dat de fout is hersteld. Door de grensreconstructie is de ligging van de kadastrale grens niet gewijzigd.
3.6.Volgens [appellanten] heeft het Kadaster bij de erfgrensreconstructie ten onrechte de Veldwerkkaart uit 1878 tot uitgangspunt genomen. Zij menen dat in plaats daarvan de Hulpkaart 1878, die zij van het Kadaster hebben ontvangen voorafgaand aan de eerste grensreconstructie, aangehouden dient te worden. Ter onderbouwing daarvan stellen [appellanten] dat uit de Hulpkaart 1878 blijkt dat de lengte van het stuk grond van [appellanten] vanuit hun zijgevel tot aan de erfgrens met het perceel van [geïntimeerde] twaalf meter en zestig centimeter bedraagt en dat dit overeenkomt met de totale oppervlakte van het perceel van [appellanten] van 670 m2 zoals dat op hun notariële eigendomsakte is vermeld.
3.7.Zoals de rechtbank terecht voorop heeft gesteld, zijn de taken van het Kadaster omschreven in de Kadasterwet (artikel 3). Hierdoor is het Kadaster de aangewezen instelling die kan aangeven waar zich de grens tussen twee percelen bevindt. [appellanten] menen dat uit de omstandigheid dat in hun notariële eigendomsakte een perceeloppervlakte van 670 m2 staat vermeld, voortvloeit dat niet de Veldwerkkaart 1878 maar de Hulpkaart 1878 de juiste erfgrens aangeeft. Het hof volgt [appellanten] hierin niet. Zoals de rechtbank ook heeft overwogen, vloeit uit artikel 7:17 lid 6 BW voort dat bij de koop van een onroerende zaak de vermelding van de oppervlakte van het perceel slechts wordt vermoed als aanduiding te zijn bedoeld, zonder dat de zaak daaraan behoeft te beantwoorden. Dit betekent dat de in de akte van levering van [appellanten] omschreven oppervlakte van hun perceel slechts een indicatie is voor de werkelijke perceelgrootte.n
Vgl. Raad van State 10 mei 2017, ECLI:NL:RVS:2017:1241.
3.8. [appellanten] stellen verder dat de rechtbank ten onrechte voorbij is gegaan aan de in de leveringsakte van 1952 vermelde ‘NS grensstenen’. Vaststaat dat het perceel van [geïntimeerde] oorspronkelijk deel uitmaakte van een groter perceel dat toebehoorde aan de Nederlandse Spoorwegen. In 1952 is het perceel van [geïntimeerde] afgesplitst en verkocht. In de akte van levering van 20 juni 1952 is opgenomen dat de koper ‘grensstenen’ op de nieuwe erfgrens moet plaatsen. Tussen partijen is in hoger beroep vast komen te staan dat de groene paaltjes waartegen [geïntimeerde] in 2017 een schutting had vastgemaakt, in ieder geval geen ‘grensstenen’ betreffen zoals bedoeld in de akte van levering uit 1952. Volgens [appellanten] bevonden zich twee ‘NS grensstenen’ aan de achterzijde van het perceel van [geïntimeerde] ; één op de hoek van de schuur van [geïntimeerde] en één verder richting de straatkant, ter hoogte van het eindpunt van het perceel van [appellanten] Het hof heeft tijdens de gerechtelijke plaatsopneming aan de achterzijde van de percelen echter geen grensstenen kunnen waarnemen. [appellanten] hebben ook niet op andere wijze in dit geding onderbouwd dat zich grensstenen als bedoeld in de akte van levering van 1952 tussen de percelen bevonden die een erfgrens aangaven die afweek van de grens zoals deze door het Kadaster is vastgesteld. Het hof gaat daarom voorbij aan het verweer van [appellanten] dat de erfgrens is bepaald door de NS grensstenen.
[appellanten] stellen tot slot dat uit de brief van [geïntimeerde] van 3 juni 2017 (zie rov. 2.4), waarin [geïntimeerde] aanbiedt een strook grond van [appellanten] te kopen, blijkt dat [geïntimeerde] erkend heeft dat de erfgrens tussen de percelen van partijen direct langs zijn schuur loopt. Daarmee zou ook de oorspronkelijke groenstrook zich op het perceel van [appellanten] bevinden. [geïntimeerde] heeft echter aangevoerd dat hij nooit een bod heeft gedaan op de strook grond waarop zich de groenstrook bevond. Het bod in de brief van 3 juni 2017 zag volgens hem op de strook grond daarnaast. [geïntimeerde] had de wens met zijn auto over zijn perceel naar de schuur aan de achterzijde van het perceel te kunnen rijden en stelt dat hij er vanuit ging dat de erfgrens zich op ongeveer 50 centimeter vanaf zijn schuur bevond. Daarmee had hij nog een verbreding nodig van twee meter, of in ieder geval 1,5 meter, om met zijn auto naar de schuur te kunnen komen. In het licht van deze gemotiveerde betwisting van [geïntimeerde] hebben [appellanten] hun stelling dat uit de brief van 3 juni 2017 blijkt dat [geïntimeerde] heeft erkend dat de erfgrens direct langs zijn schuur loopt niet voldoende onderbouwd. Het hof gaat daar dan ook aan voorbij.
De vorderingen van [geïntimeerde]
3.10. is van mening dat de rechtbank ten onrechte geen dwangsom heeft gekoppeld aan de veroordelingen in het vonnis van 21 juli 2021. Verder vordert [geïntimeerde] in hoger beroep dat [appellanten] worden veroordeeld medewerking te verlenen aan het opnieuw inmeten van de kadasterpaal door het Kadaster en, op straffe van een dwangsom, medewerking te verlenen aan het herstellen van het meetpunt van het Kadaster achter in de tuin en tot betaling van de helft van de totale kosten van de meting van het Kadaster met betrekking tot het herplaatsen van de kadasterpaal op de juiste plaats. [geïntimeerde] voert daartoe aan dat [appellanten] zich niet aan de veroordeling in het vonnis van 21 juli 2021 houden en dat hij zijn tuin verder wil herinrichten waarbij uitgegaan wordt van de correcte erfgrens.
3.11.Tijdens de gerechtelijke plaatsopneming is gebleken dat [geïntimeerde] na het vonnis van de rechtbank zijn tuin heeft heringericht en een nieuwe schutting heeft laten plaatsen op 1,5 cm van de erfgrens zoals vermeld in de erfgrensreconstructie van het Kadaster van 20 februari 2020. Tijdens de herinrichting van de tuin van [geïntimeerde] heeft nog discussie plaatsgevonden over de maatvoering, maar uiteindelijk is daarin de visie van [geïntimeerde] aangehouden. [geïntimeerde] heeft in dat kader verklaard dat hiermee op juiste wijze uitvoering is gegeven aan het vonnis van 21 juli 2021.
3.12.Omdat, ook in de visie van [geïntimeerde] , inmiddels volledig uitvoering is gegeven aan het vonnis van 21 juli 2021, heeft [geïntimeerde] geen belang bij het opleggen van een dwangsom. Het hof ziet onder deze omstandigheden evenmin aanleiding [appellanten] te veroordelen op basis van gezamenlijke kosten hun directe medewerking te verlenen aan het herstel van de grensmarkering achter in de tuin. Deze vorderingen zullen dan ook worden afgewezen.
De conclusie
3.13.Het hoger beroep van [appellanten] slaagt niet. Ook het hoger beroep van [geïntimeerde] slaagt niet. Omdat [appellanten] in het principaal hoger beroep in het ongelijk zullen worden gesteld, zal het hof hen tot betaling van de proceskosten in principaal hoger beroep veroordelen. De proceskosten in incidenteel hoger beroep moeten worden gedragen door
[geïntimeerde] als de in het ongelijk gestelde partij. Onder de proceskosten vallen ook de nakosten
die nodig zijn voor de betekening van de uitspraak en de wettelijke rente daarover. De rente is verschuldigd vanaf veertien dagen na die betekening.n
HR 10 juni 2022, ECLI:NL:HR:2022:853.
3.14.De veroordelingen in deze uitspraak kunnen ook ten uitvoer worden gelegd als een van partijen de beslissing van het hof voorlegt aan de Hoge Raad (uitvoerbaarheid bij voorraad).
Het hof:
4.1.bekrachtigt het vonnis van de rechtbank in de rechtbank Overijssel van 21 juli 2021, hersteld bij herstelvonnis van 1 september 2021;
veroordeelt [appellanten] tot betaling van de volgende proceskosten van [geïntimeerde] in het principaal hoger beroep:
€ 338,- aan griffierecht
€ 2.366,- aan salaris van de advocaat van [geïntimeerde] (2 procespunten x appeltarief II)
veroordeelt [geïntimeerde] tot betaling van de volgende proceskosten van [appellanten] in het incidenteel hoger beroep:
€ 591,50 aan salaris van de advocaat van [appellanten] (0,5 procespunt x appeltarief II)
4.4.bepaalt dat al deze kosten moeten worden betaald binnen 14 dagen na vandaag. Als niet op tijd wordt betaald, dan worden die kosten verhoogd met de wettelijke rente;
4.5.verklaart de proceskostenveroordelingen uitvoerbaar bij voorraad;
4.6.wijst af wat verder is gevorderd.
Dit arrest is gewezen door mr. P.S. Bakker, mr. J. Smit en mr. J.E. Wichers, en is door de rolraadsheer in tegenwoordigheid van de griffier in het openbaar uitgesproken op
25 april 2023.