
GERECHTSHOF ARNHEM-LEEUWARDEN
locatie Leeuwarden, afdeling civiel
zaaknummer gerechtshof 200.331.857
zaaknummer rechtbank Noord-Nederland 9824547
arrest van 13 augustus 2024
in de zaak van
Aldi Vastgoed B.V.
die is gevestigd in Culemborg
die hoger beroep heeft ingesteld
en bij de rechtbank optrad als gedaagde in conventie en eiseres in (voorwaardelijke) reconventie
hierna: Aldi
advocaat: mr. M.P.C. Hendriks
tegen
Lidl Nederland GmbH
die is gevestigd in Duitsland en ook kantoor houdt te Huizen
die ook hoger beroep heeft ingesteld
en bij de rechtbank optrad als eiseres in conventie en verweerster in (voorwaardelijke) reconventie
hierna: Lidl
advocaat: mr. M. van Heeren.
1.1Aldi heeft hoger beroep ingesteld tegen de vonnissen die de rechtbank Noord-Nederland, locatie Groningen, (hierna: de rechtbank) op 17 januari 2023 en 16 mei 2023 tussen partijen heeft uitgesproken. Het procesverloop in hoger beroep blijkt uit:
de dagvaarding in hoger beroep
de memorie van grieven
de memorie van antwoord tevens memorie van grieven in incidenteel hoger beroep
de memorie van antwoord in het incidenteel hoger beroep
het H-12 formulier van Lidl met nog een productie (nummer 6) van Lidl
het H-3 formulier van Aldi met nog twee producties (nummers 20 en 21)
het H-12 formulier van Lidl met nog een productie (nummer 7)
het H-14 formulier van Aldi met bezwaar tegen de overlegging van de laatste productie door Lidl
een brief van Lidl met een reactie op dat bezwaar van 17 juni 2024
het verslag (proces-verbaal) van de mondelinge behandeling die op 19 juni 2024 is gehouden, waarbij het bezwaar van Aldi tegen overlegging van productie 7 door Lidl is verworpen.
1.2Na een aanhouding voor minnelijk overleg heeft het hof op verzoek van partijen arrest bepaald.
2.1Centraal staat de vraag of op grond van een belangenafweging de huurovereenkomst tussen partijen dient te eindigen en zo ja, welk bedrag aan tegemoetkoming in verhuis- en inrichtingskosten aan Aldi dient te worden toegekend en onder welke voorwaarden. Verder speelt de vraag of de beslissing ook uitvoerbaar bij voorraad verklaard moet worden.
Lidl heeft bij de rechtbank gevorderd dat de kantonrechter bij vonnis uitvoerbaar bij voorraad de datum waarop de huurovereenkomst tussen haar en Aldi met betrekking tot de bedrijfsruimte in het pand aan het Molenerf 11 te Uithuizen eindigt, zal bepalen op
1 december 2022, met veroordeling van Aldi om op dat tijdstip de bedrijfsruimte te hebben ontruimd en verlaten. Lidl heeft daarvoor diverse gronden aangevoerd, waaronder een belangenafweging.
Aldi heeft verweer gevoerd tegen een beëindiging van de huurovereenkomst en voor het geval de vordering toch mocht worden toegewezen, verzocht aan haar primair een vergoeding toe te kennen als bedoeld in artikel 7:309 BW en subsidiair een tegemoetkoming in de verhuis- en inrichtingskosten, onder de voorwaarden dat zij binnen twee jaar na de datum van beëindiging en binnen een straal van 20 kilometer vanaf het gehuurde een nieuwe supermarktlocatie in gebruik neemt.
2.3De kantonrechter heeft na een belangenafweging bepaald dat de huurovereenkomst zal eindigen en de datum van beëindiging vastgesteld op 1 juli 2023, met veroordeling van Aldi tot ontruiming op uiterlijk dat tijdstip. De tegemoetkoming voor Aldi in de verhuis- en inrichtingskosten is vastgesteld op € 50.000,- onder de voorwaarden dat Lidl dat bedrag slechts aan Aldi is verschuldigd indien Aldi aan Lid een getekende koop- of huurovereenkomst toont met betrekking tot vervangende bedrijfsruimte die ligt binnen een straal van 10 kilometer van het gehuurde en Aldi daarin voor 1 juli 2024haar supermarkt zal voortzetten. Lidl is de gelegenheid geboden haar verzoek tot beëindiging van de huurovereenkomst nog in te trekken tot en met 30 mei 2023. Van die mogelijkheid heeft Lidl geen gebruik gemaakt.
2.4Aldi wil met haar hoger beroep bereiken dat de vordering tot beëindiging van de huurovereenkomst alsnog wordt afgewezen. Als dat niet lukt wil Aldi een tegemoetkoming in de verhuis- en inrichtingskosten, die niet lager is dan het door de kantonrechter vastgestelde bedrag.
Lidl wil dat het eindvonnis van 16 mei 2023 wordt vernietigd, voor zover de vordering om het vonnis uitvoerbaar bij voorraad te verklaren is afgewezen.
2.5Het hof is het met de kantonrechter eens dat op grond van een belangenafweging de huurovereenkomst dient te eindigen. Het hof zal daartoe een nieuwe datum bepalen, te weten 1 oktober 2024. Op dat tijdstip dient Aldi het gehuurde ontruimd aan Lidl ter beschikking te hebben gesteld. Aan Aldi wordt daarbij een tegemoetkoming in de verhuis- en inrichtingskosten toegekend, gelijk aan het door de kantonrechter toegekende bedrag en onder dezelfde voorwaarden. Het arrest zal niet uitvoerbaar bij voorraad worden verklaard. Hoe het hof tot dit oordeel is gekomen wordt hierna uiteengezet.
Het hof gaat uit van de volgende feiten:
3.1 Lidl en Aldi exploiteren supermarkten in Nederland.
3.2Lidl is sinds 27 december 2010 eigenaar van het complex van bedrijfsruimten, een winkelcentrum, aan het Molenerf 1, 2, 2A, 2C, 3, 7, 9 en 11 te Uithuizen (met het kadastraal nummer 3702).
Het complex was bij eigendomsoverdracht gedeeltelijk verhuurd en Lidl nam ten
tijde van de eigendomsoverdracht een aantal lopende huurovereenkomsten als verhuurder
over. Het ging om een cafetaria, een slijterij, een schoenenzaak en een groenteboer. Die
huurders zijn inmiddels vertrokken. In het complex zijn nu nog twee gebruikers te weten Lidl
(aan het Molenerf 9) en Aldi (aan het Molenerf 11).
Aldi huurt de bedrijfsruimte gelegen aan het Molenerf 11 van Lidl. De
huurovereenkomst is aangegaan tussen de rechtsvoorganger van Lidl en de rechtsvoorganger
van Aldi. De huurovereenkomst is op 4 oktober 1996 aangegaan, ingaande 1
december 1997 voor de duur van 10 jaar. De huurovereenkomst is nadien telkens vijf jaar
verlengd, laatstelijk van 1 december 2017 tot en met 30 november 2022.
In het centrumgebied van Uithuizen is al enige tijd sprake van leegstand en
verpaupering. De toenmalige gemeente Eemsmond, waartoe Uithuizen behoorde, heeft in 2013 een woon- en leefbaarheidsplan vastgesteld. Daarin is opgenomen dat Uithuizen een belangrijke plaats inneemt als regionaal centrum. Om de centrumfunctie te
behouden heeft het college van de gemeente besloten om het centrumgebied te versterken.
Daarbij zijn twee gebieden cruciaal, te weten de locatie aan het Molenerf en de locatie aan de
Schoolstraat. Die locaties worden verbonden met de Hoofdstraat Oost die doorloopt in de
Oosterstraat.
Op de zitting bij de kantonrechter heeft Lidl een plattegrond overgelegd, waaruit volgens Lidl de huidige en toekomstige situatie blijkt.
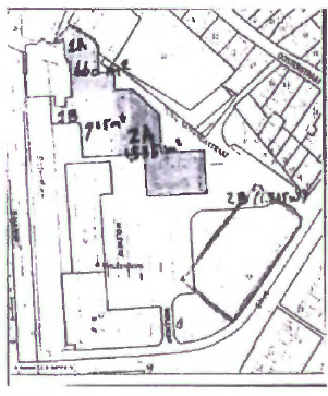
Gedeelte IA, 1B en 2 A is/was in eigendom van Lidl (kadastraal nummer 3702). Het gedeelte IA is de “ kop van de passage.” In gedeelte 2A bevindt zich het verhuurde aan Aldi waar zij haar supermarkt heeft gevestigd. Het gedeelte 2B is thans grotendeels parkeerplaatsen en is in eigendom van de gemeente. De rechthoek rechtsonder is grotendeels gesitueerd op het perceel met kadestraal nummer 3748 waarin een Formido is gevestigd (hierna de Formido-locatie). Uit de mondelinge behandeling in hoger beroep is gebleken dat de rechthoek de plek betreft waar de nieuwe vestiging van Lidl moet komen. Die is anders dan het huidige Formido perceel rechthoekig en treedt daardoor op enkele plekken buiten de grenzen van het Formido terrein, waardoor voor de bouw ook een paar stukjes grond van de gemeente benodigd zijn.
3.7In 2016 heeft de gemeente haar visie op het centrumgebied van Uithuizen gepubliceerd met het “Plan Centrumversterking Uithuizen.” Onderdeel van dat plan is de herontwikkeling van het gebied aan de Molenerf. Daarbij is een fasering van de herontwikkeling opgesteld (in vijf fasen). In fase 1 zal onder meer de kop van de passage worden gesloopt. In fase 2 zal de Formido-locatie worden gesloopt. In de derde fase is het plan om de bestaande Lidl te slopen (Molenerf 9) en een nieuwe Lidl te realiseren op de Formido-locatie. In fase 4 zal het pand aan de Molenerf 11 (welke nu aan de Aldi wordt verhuurd), worden gesloopt. In fase 5 zal de herinrichting buitengebied plaatsvinden (de verbindingsweg en de parkeerplaatsen).
3.8Op 1 januari 2019 is de gemeente Het Hogeland ontstaan door samenvoeging van de gemeenten Bedum, Winsum, de Marne en Eemsmond.
Lidl heeft bij exploot van 26 november 2021 een huur opzeggingsbrief aan Aldi
betekend en de huurovereenkomst opgezegd tegen 30 november 2022. In deze brief staat het
volgende:
“Zoals u weet, zijn wij voornemens in overleg met de gemeente Het Hogeland een nieuwe en
grotere supermarkt te gaan realiseren en een nieuwe ontsluitingsweg en
parkeervoorzieningen in dit gebied. Dit houdt in dat op de locatie van het gehuurde een weg
en parkeervoorzieningen zullen worden gerealiseerd. Dit betekent dat het gehuurde zal moeten worden gesloopt. Het belang van Lidl bij deze sloop en herontwikkeling is dat onze
huidige supermarkt te klein is geworden en niet meer conform onze huidige standaard is.
Bedrijfseconomische motieven liggen derhalve aan deze huuropzegging ten grondslag.
Om deze sloop en nieuwbouw te kunnen realiseren, benodigt Lidl de thans door u in gebruik zijnde bedrijfsruimte.
Gelet op het vorenstaande zeggen wij u hierbij met inachtneming van de contractuele
opzegtermijn van één jaar, de huurovereenkomst op tegen 30 november 2022. (...)
De opzeggingsgrond is, zoals hiervoor is uiteengezet, “dringend eigen gebruik” in de zin van
artikel 7:296 lid 1 sub b BW.
Daarnaast mede gezien de tijd die de overeenkomst reeds duurt, geldt als opzeggingsgrond
dat bij een redelijke afweging van belangen, de belangen van Lidl Nederland GmbH bij
beëindiging van de overeenkomst groter zijn dan de belangen van u als huurder bij
verlenging, zulks in de zin van artikel 7:296 lid 3 BW.”
3.10Aldi heeft niet met de opzegging ingestemd.
3.11Lidl heeft bij koopovereenkomst van 14 juli 2022 de Formido-locatie gekocht ten behoeve van de nieuw te realiseren Lidl supermarkt.
3.12Op 28 september 2022 heeft het college van de gemeente aan de gemeenteraad voorgesteld om in te stemmen met het sluiten van een intentieovereenkomst met Lidl. In het Raadsvoorstel staat het volgende geschreven:
1. Samenvatting
Het college vraagt de gemeenteraad om kennis te nemen van het voornemen tot het
ondertekenen van de 'Intentie tot Samenwerken Overeenkomst' (ltSO) met Lidl voor het
Molenerf en eventuele wensen en bedenkingen ter kennis van het college te brengen.
Om tot uitvoering te komen van het centrumplan Uithuizen voor wat betreft het deelproject
Molenerf is medewerking van Lidl noodzakelijk. De in het centrumplan beoogde
wegverbinding tussen de brug over de Blink via het Molenerf naar de Snik vereist namelijk
dat Lidl bereid is tot verkoop van de kop van de passage, die al geruime tijd leeg staat.
Lidl op zijn beurt verbindt voorwaarden aan de bereidheid tot medewerking aan
bovenbedoelde verkoop. Lidl wil namelijk op de locatie langs de Snik waar nu nog het pand
van de voormalige Formido staat een nieuwe supermarkt bouwen. Dit vergt een wijziging
van het bestemmingsplan van het Molenerf. Aan het in procedure brengen van een
bestemmingswijziging verbindt de gemeente weer voorwaarden aan Lidl. Die gemeentelijke
voorwaarden beogen het gemeentelijk beleid ten aanzien van het zogenaamde '‘haltermodel”
uit het centrumplan Uithuizen te handhaven. Dit houdt in dat op elke “pool” van het
‘‘haltermodel" ruimte is voor maximaal twee te vergroten supermarkten.
De voorwaarden over en weer en de gewenste procesvolgorde in te nemen vervolgstappen
ten aanzien van overeen te komen vastgoedtransacties zijn vastgelegd in de Intentie tot
Samenwerken Overeenkomst"(ltSO). Alvorens het college tot ondertekening van de ltSO
overgaat, wordt de raad gehoord over de daarin opgenomen voorwaarden. (...)
2. Gevraagd of voorgesteld besluit
De raad wordt:
1. voorgesteld om kennis te nemen van het voornemen van het college om de Intentie
tot Samenwerken Overeenkomst (ltSo) met Lidl te ondertekenen;
2. In de gelegenheid gesteld wensen en bedenkingen met betrekking tot de
voorgenomen overeenkomst ter kennis van het college te brengen
In het Raadsbesluit van 28 september 2022 heeft de Gemeenteraad hiermee ingestemd en besloten:
De gemeenteraad van Het Hogeland,
gelezen het voorstel van burgermeesters en wethouders d.d. 26 juli 2022,
(…)
Besluit:
1. Kennis te nemen van het voornemen van het college om de 'Intentie tot
Samenwerken Overeenkomst ’ (ItSO) met Lidl te ondertekenen;
2. Geen wensen en bedenkingen met betrekking tot de voorgenomen overeenkomst
ter kennis van het college te brengen.
3.14Op 30 december 2022 is de Formido locatie geleverd aan Lidl.
3.15Op 21 december 2022 (Lidl) respectievelijk 11 januari 2023 (gemeente) hebben de gemeente en Lidl de “Intentie tot Samenwerken Overeenkomst” ondertekend.
Het ontwerp bestemmingsplan voor de herontwikkeling van het centrum en het ontwerp besluit omgevingsvergunning voor de bouw van de nieuwe Lidl zijn op
22 december 2023 ter inzage gelegd. Het bestemmingsplan en de omgevingsvergunning zijn nog niet door de gemeenteraad goedgekeurd.
3.17Op 29 februari 2024 heeft Lidl aan de gemeente de “kop van de passage” verkocht (1A op de tekening hierboven).
4.1De grieven van Aldi (vier in totaal) en die van Lidl (twee), de uitwerkingen daarvan en het tegen die grieven over en weer gevoerde verweer, stellen de volgende thema’s aan de orde:
1) dient een belangenafweging in het kader van artikel 7:296 lid 3 BW uit te vallen in het voordeel van Lidl?
2) welk bedrag komt in dat geval Aldi toe aan tegemoetkoming in de kosten van verhuizing en inrichting?
3) welke voorwaarden dienen aan die vergoeding te worden verbonden?
4) dient een beslissing tot beëindiging van de huur uitvoerbaar bij voorraad te worden verklaard?
5) welke partij dient in de proceskosten te worden veroordeeld?
De grieven strekken tot een nieuwe beoordeling van de zaak op deze punten.
Belangenafweging
4.2De opzegging heeft plaatsgevonden tegen het einde van een termijn waarmee de oorspronkelijke huurovereenkomst is verlengd. In een dergelijk geval kan de rechter op grond van artikel 7:296 lid 3 BW een vordering tot het bepalen van de dag waarop de huur eindigt toewijzen “op grond van een redelijke afweging van de belangen van de verhuurder bij beëindiging van de overeenkomst tegen die van de huurder (…) bij verlenging van de overeenkomst. De rechter wijst de vordering in elk geval af indien van de huurder, bij een redelijke afweging van de voormelde belangen van hem (…) tegen de voormelde belangen van de verhuurder, niet kan worden gevergd dat hij het gehuurde ontruimt.”
4.3Lidl voert als haar belang bij beëindiging van de huur, samengevat, het volgende aan:
In het kader van het herontwikkelingsplan van de gemeente ontstond voor Lidl de mogelijkheid om haar supermarkt te gaan verplaatsen naar het terrein van de Formido. Op dat terrein zou Lidl een nieuw bedrijfspand kunnen bouwen met een bruto vloeroppervlak 2150 m2. Lidl had daar een groot belang bij, omdat haar huidige supermarkt te klein (bruto vloeroppervlak 1260 m2) is en niet voldoet aan de huidige Lidl standaard. De nieuwe supermarkt voldoet daar wel aan en zal het volledige assortiment van Lidl aanbieden. Die grotere supermarkt zal ook beter kunnen concurreren met de twee andere supermarkten in het dorp, Albert Heijn en Jumbo, die allebei ook flink gaan uitbreiden. Ook voor het behoud van haar marktpositie is de uitbreiding dus van belang. Voor de realisatie van haar uitbreidingsplan heeft Lidl de medewerking nodig van de gemeente; het bestemmingsplan moet worden aangepast en Lidl behoeft voor haar nieuwe (rechthoekige) gebouw nog een paar stukken grond van de gemeente. De gemeente verlangde in ruil voor haar medewerking aan de plannen van Lidl de medewerking van Lidl aan de realisatie van haar plannen voor herontwikkeling van het centrum. Die voorzien in aankoop en sloop van de winkelpassage en de aanleg van een weg en parkeerterreinen op dat perceel. Tot die medewerking heeft Lidl zich verbonden. Dat plan is ook in het belang van Lidl na haar uitbreiding; na vergroting heeft Lidl behoefte aan extra parkeerplaatsen. Opzegging van de huur van Aldi was dus nodig met het oog op de verkoop van de passage aan de gemeente en die verkoop was nodig om realisatie van haar uitbreidingsplan mogelijk te maken, welk plan een groot belang van Lidl dient.
4.4Aldi voert als haar belang bij voortzetting van de huur, samengevat, aan:
Aldi heeft geen realistische, alternatieve locaties beschikbaar. Beëindiging van de huur leidt dus tot omzetverlies en vormt een bedreiging van de marktpositie van Aldi in de regio. Haar personeel zal hun baan verliezen en consumenten in Uithuizen hebben geen keus meer tussen discounters. Aldi heeft dus groot belang bij voortzetting van de huur. Aldi ziet niet in dat haar huur moet worden opgezegd om de plannen van Lidl te verwezenlijken. Dat kan ook zonder verkoop van de winkelpassage aan de gemeente. Dan wel kan die verkoop plaatsvinden met Aldi als huurder. Kennelijk wil Lidl een concurrent kwijt.
4.5Het hof is van oordeel dat het belang van Lidl bij opzegging van de huur zwaarder weegt dan het belang van Aldi bij voortzetting daarvan. Het hof acht geloofwaardig dat Lidl een zwaarwegend belang heeft bij vergroting van haar winkel; die komt neer op bijna een verdubbeling van haar vloeroppervlak. Het hof acht ook zonder cijfermatige onderbouwing voldoende aannemelijk dat dit Lidl in staat zal stellen een groter assortiment aan artikelen aan te bieden, dat dit haar winkel aantrekkelijker maakt voor consumenten en dat dit leidt tot versterking, of in ieder geval behoud, van haar marktpositie; onweersproken is dat ook de Albert Heijn en de Jumbo uitbreidingsplannen hebben. Bovendien heeft Lidl voldoende onderbouwd dat de door haar gewenste schaalvergroting past binnen de nieuwe formule van Lidl-supermarkten. Uit de gedingstukken blijkt genoegzaam dat de medewerking van de gemeente daarvoor is vereist, in de vorm van een wijziging van het bestemmingsplan en het verlenen van medewerking aan grondoverdracht. Uit het raadsvoorstel en raadsbesluit van 28 september 2022 (zie overweging 3.12 en 3.13) wordt voldoende aannemelijk dat de gemeente in ruil daarvoor medewerking verlangde van Lidl aan haar plannen voor herinrichting van het stadscentrum. Vast staat dat die plannen omvatten dat de winkelpassage gesloopt gaat worden en dat daarop een weg gepland staat en parkeerplaatsen. Het is aannemelijk dat de gemeente overdracht van de winkelpassage aan haar verlangde na beëindiging van de lopende huurovereenkomsten met Lidl; de gemeente zal niet in een door haar van Lidl aan te kopen en vervolgens te slopen pand, geconfronteerd willen worden met een huurder die er nog uit moet. Na het verstrijken van de datum van 1 december 2022 zou bovendien weer een verlenging van de huurovereenkomst plaatsvinden voor de duur van vijf jaar. Medewerking door Lidl aan de plannen van de gemeente om daarmee ook verwezenlijking van haar plannen mogelijk te maken, vereiste dus opzegging van de huur met Aldi (tegen het einde van een verlenging). Omdat Lidl bij de verwezenlijking van haar plannen, naar voldoende aannemelijk is, groot belang heeft, heeft zij dus ook een zwaarwegend belang bij de opzegging van de huur. Dat Lidl dit zou hebben gedaan om een concurrent kwijt te raken, zoals zij suggereert, vindt geen steun in de gang van zaken. Daaruit blijkt dat Lidl eerder een constructie heeft voorgesteld aan de gemeente om de huurovereenkomst met Aldi te behouden, maar dat de gemeente daar niet in mee wilde gaan. De plannen van zowel Lidl als de gemeente zijn verder ook voldoende concreet. Vast staat dat Lidl en de gemeente ook stappen hebben gezet ter uitvoering van die plannen.
4.6Daar staat tegenover dat Aldi ontegenzeggelijk belang heeft bij voortzetting van de huurovereenkomst, maar bij die afweging komt, anders dan Aldi meent, wel belang toe aan de reeds langjarige huurrelatie. Huur is naar zijn aard geen eeuwigdurend recht en naarmate een huurrelatie langer duurt, komt bij de afweging aan het belang van de verhuurder om andere plannen met het verhuurde te verwezenlijken, meer gewicht toe. Daar komt bij dat Aldi een groot aantal supermarkten, ook in de regio Groningen, exploiteert en dat zij dus voor haar inkomen en marktaandeel maar voor een beperkt deel afhankelijk zal zijn van de vestiging in Uithuizen. Dat dat anders is heeft Aldi ook niet voldoende concreet gesteld of onderbouwd. Het belang van Lidl weegt daarmee zwaarder dan dat van Aldi en niet gezegd kan worden dat bij een redelijke afweging van de belangen van Aldi geen ontruiming kan worden geëist.
De vraag of Aldi Vastgoed Beheer wel de exploitant is van de supermarkt, zoals Lidl heeft opgeworpen en door Aldi in de procedure niet afdoende is beantwoord, behoeft daarbij geen nadere beschouwing.
4.7Wat de datum en het tijdstip van de beëindiging betreft, zal het hof een nieuwe datum bepalen waarop de huurovereenkomst eindigt. Het hof neemt daarbij in aanmerking dat partijen feitelijk de huurverhouding nog steeds voortzetten en dat het dan niet in de rede ligt, zo al mogelijk, om die met terugwerkende kracht te beëindigen. Het hof zal de datum en het tijdstip waarop de huurovereenkomst eindigt bepalen op 1 oktober 2024. Aldi zal worden veroordeeld om tegen die datum het gehuurde ontruimd te hebben en aan Lidl ter beschikking te stellen.
Tegemoetkoming in verhuis- en inrichtingskosten en de daaraan te verbinden voorwaarden
4.8Artikel 7:297 lid 1 BW bepaalt dat de rechter in zijn beslissing tot toewijzing van de vordering tot beëindiging “een bedrag kan vaststellen dat de verhuurder aan de huurder of de onderhuurder aan wie bevoegdelijk is onderverhuurd, moet betalen ter tegemoetkoming in diens verhuis- en inrichtingskosten.”
Lidl heeft geen grief gericht tegen het oordeel dat aan Aldi een tegemoetkoming moet worden verstrekt van € 50.000,-, onder de voorwaarde dat Aldi aantoont binnen
12 maanden en binnen een straal van 10 kilometer van het gehuurde de exploitatie van zijn supermarkt te zullen voortzetten. Daarmee kan in hoger beroep niet een lagere vergoeding worden toegekend en ook geen ongunstigere voorwaarden aan die tegemoetkoming worden verbonden; een appellant (Aldi) mag niet slechter worden van zijn hoger beroep. Die vergoeding onder die voorwaarden zijn daarmee het vertrekpunt. De grieven van Aldi tegen de beslissing van de kantonrechter op dit punt zijn er op gericht een hogere vergoeding te verkrijgen, althans ruimere voorwaarden.
4.10Aldi komt echter niet met nieuwe of andere argumenten daarvoor. Zij herhaalt haar argumenten bij de kantonrechter. De kantonrechter heeft daarop gemotiveerd beslist. Het hof acht die motivering juist en neemt die, na een eigen beoordeling, over. Het hof voegt daar aan toe dat, zoals Aldi aanvoert, het gebruikelijk mag zijn in de supermarktbranche om een nieuwe bedrijfsruimte alleen casco te huren (zodat daar nog belangrijke voorzieningen in aangebracht moeten worden voordat de ruimte geschikt is voor exploitatie), maar dat Aldi niet heeft gesteld dat casco huur onvermijdelijk is. Het blijft dus toch een eigen beslissing van Aldi om casco te huren. Verder betreft de omstandigheid dat door Aldi casco gehuurd pleegt te worden toch ook een omstandigheid die voor haar eigen risico gelaten dient te worden en waarvan zij de kosten niet kan verhalen op haar verhuurder. Overigens heeft Aldi ook niet onderbouwd dat zij de door haar opgevoerde kosten ook allemaal zelf moet dragen, dit terwijl tijdens de mondelinge behandeling naar voren is gekomen dat Aldi (vastgoed) onderverhuurt aan een andere vennootschap: Aldi Groningen B.V.
Met betrekking tot de voorwaarden deelt het hof de opvatting van de kantonrechter dat het moet gaan om een verhuizing. Daarvan zal, gelet op de omstandigheid dat Aldi in de directe nabijheid ook andere winkels heeft, niet snel sprake zijn buiten een ruimere straal dan 10 kilometer van het gehuurde. Ook bij een langere periode voor voortzetting dan uiterlijk 12 maanden na het einde van deze huurovereenkomst, kan van voortzetting van de huidige exploitatie van de supermarkt, in feite niet meer gesproken worden. Dan zal eerder sprake zijn van exploitatie van een nieuwe winkel.
4.11Het hof volgt dus de beslissing van de kantonrechter op dit onderdeel. Lidl zal niet opnieuw de gelegenheid worden geboden haar verzoek in te trekken, gelet op wat hiervoor onder 4.9 is overwogen.
Uitvoerbaar verklaring bij voorraad
4.12Artikel 7:295 lid 1 BW bepaalt dat een opgezegde overeenkomst van kracht blijft, “tot de rechter onherroepelijk heeft beslist (…). De rechter kan evenwel, indien het verweer van de huurder hem kennelijk ongegrond voorkomt, zijn toewijzend vonnis uitvoerbaar bij voorraad verklaren.”
4.13Lidl heeft bepleit dat hieronder ook het geval valt dat een cassatie tegen het toewijzend arrest kansloos is. Volgens haar is dat het geval omdat de toewijzing berust op een belangenafweging en de Hoge Raad een dergelijke weging van de belangen door de lagere rechter alleen marginaal toetst (op begrijpelijkheid).
Het hof stelt echter vast dat het uitgangspunt van de wet is dat een uitspraak niet uitvoerbaar bij voorraad wordt verklaard en dat de uitzonderingsgrond in zijn bewoordingen heel helder is: de uitzondering geldt alleen als het verweer kennelijk ongegrond is. In dit geval is er geen sprake van een kennelijk ongegrond verweer. Aldi heeft een reëel belang bij behoud van de huurovereenkomst waarin zij nog steeds daadwerkelijk een supermarkt exploiteert. Zij heeft het recht om haar belang daarbij door een rechter te laten afwegen tegen het belang van Lidl bij beëindiging. Van een onevenredig groot verschil in belangen kan daarbij niet worden gesproken. Weliswaar toetst de Hoge Raad in beginsel niet de weging van belangen door het hof, maar dat brengt nog niet met zich dat in een geval waarin aan beide zijden serieus te nemen belangen spelen, het aan het hof is om de kans van een procedure in cassatie te beoordelen en op die grond onder de noemer van “een kennelijk ongegrond verweer” zijn arrest uitvoerbaar bij voorraad te verklaren. Daarbij merkt het hof op dat Aldi ook een hogere tegemoetkoming in de verhuis- en inrichtingskosten vordert. Die vordering is nauw verbonden met de beëindiging van de huurovereenkomst, vanwege de aan (de toekenning van) die vordering verbonden intrekkingsbevoegdheid. Die vordering wordt weliswaar ook afgewezen, maar ook dat oordeel kan in cassatie worden voorgelegd aan de Hoge Raad.
Hoewel het hof oog heeft voor het belang van Lidl bij een beslissing die uitvoerbaar is bij voorraad, zal het hof dit arrest dus niet uitvoerbaar bij voorraad verklaren.
Proceskosten
4.15Bij deze stand van zaken waarbij het oordeel van de kantonrechter grotendeels in stand wordt gelaten, betreft dat ook zijn oordeel met betrekking tot de proceskosten. De kantonrechter heeft die gecompenseerd op grond van de overweging dat partijen over en weer op punten in het ongelijk zijn gesteld. Het hof deelt die opvatting.
Voor wat betreft de procedure in hoger beroep ligt in wat hiervoor is overwogen besloten dat Aldi in het door haar ingestelde principaal hoger beroep in het ongelijk wordt gesteld en dat Lidl in het door haar ingestelde incidentele hoger beroep in het ongelijk wordt gesteld. Het hof zal derhalve in het principale hoger beroep Aldi in de kosten veroordelen en in het incidentele hoger beroep Lidl.
Onder die kosten vallen ook de nakosten die nodig zijn voor de betekening van de uitspraak en de wettelijke rente daarover. De rente is verschuldigd vanaf veertien dagen na die betekening.n
HR 10 juni 2022, ECLI:NL:HR:2022:853.
Het hof:
5.1bekrachtigt de vonnissen van de kantonrechter in de rechtbank Noord-Nederland, locatie Groningen, van 17 januari 2023 en 16 mei 2023, behalve voor wat betreft de datum waarop de huurovereenkomst zal eindigen. Vernietigt op dat onderdeel het vonnis van 16 mei 2023 en bepaalt in plaats daarvan dat de huurovereenkomst tussen Lidl en Aldi met betrekking tot het gehuurde aan het Molenerf 11 te Uithuizen zal eindigen op 1 oktober 2024. Bepaalt daarbij dat aan Lidl niet opnieuw gelegenheid wordt geboden haar verzoek in te trekken.
veroordeelt Aldi tot betaling van de volgende proceskosten van Lidl in het door Aldi ingestelde principale hoger beroep:
€ 2.135,-,- aan griffierecht
€ 2.428,- aan salaris van de advocaat van Lidl (2 procespunten x appeltarief II)
5.3bepaalt dat al deze kosten moeten worden betaald binnen 14 dagen na vandaag. Als niet op tijd wordt betaald, dan worden die kosten verhoogd met de wettelijke rente;
veroordeelt Lidl tot betaling van de volgende proceskosten van Aldi in het door Lidl ingestelde incidentele hoger beroep
€ 1.214,-,- aan salaris van de advocaat van Aldi (2 procespunten x tarief II x 0,5)
5.5bepaalt dat al deze kosten moeten worden betaald binnen 14 dagen na vandaag. Als niet op tijd wordt betaald, dan worden die kosten verhoogd met de wettelijke rente;
5.6wijst af wat verder is gevorderd.
Dit arrest is gewezen door mrs. O.E. Mulder, A.E. Hillen en A. Elgersma, en is door de rolraadsheer in tegenwoordigheid van de griffier in het openbaar uitgesproken op
13 augustus 2024